Fotografija iz otvorenih izvora
Nevjerovatno razorni uragan Michael, koji je pogodio jugoistočne obale SAD-a, stigao je i do države Florida. Blizu okeana zabilježena je brzina vjetra i do sto metara ili više drugo. 375 hiljada lokalnih stanovnika bilo je hitno evakuisan nakon što je predsjednik proglasio vanredno stanje. Unatoč činjenici da se broj žrtava i dalje mjeri u jedinicama, “Michael” se naziva snažnim uraganom koji se suočio moderna florida.
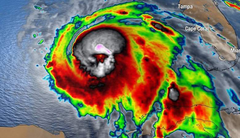
Tragedija je stekla neobičnu i pomalo mističnu kolo kada Amerikanci, odjednom gledajući vesti o katastrofi primetili su u zraku neobičan “znak”. Na satelitskom snimku tropski ciklon formirao je zloslutnu siluetu, sumnjivo izgleda kao siva lubanja s krvavim očnjacima. Naravno mnogi su pobožni gledatelji smatrali da je to loše omen, a neuništivi “Michael” je zasigurno suđen da nosi mnogo ljudskih života.
Vijest o misterioznoj “lobanji” postala je toliko popularna u Svjetsku mrežu koja je čak morala odgovoriti na njega Američki klimatolozi. Prema njima govorimo o običnim pareidolična iluzija koja se pojavila na slici uragana samo na sekundu ili dve. Zanimljivo je da je u 2016. bila slična silueta na satelitskoj fotografiji otkrivena je ljudska lobanja tropski ciklon “Matthew” nad Karibima.
Mislite li da je ovo slučajnost ili ne? A da li je to moguće u našoj život kao nesreće? ..
Život
