Fotografija iz otvorenih izvora
Naučnici su otkrili čudnu strukturu koja nalikuje mikrobi ćelija unutar marsovskog meteorita, ali oni to ne tvrde to ukazuje na prisustvo života na Marsu.
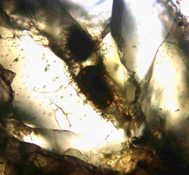
Istraživači su otkrili mikroskopsku ovalnu strukturu u Nakhlasov marsovski meteorit koji je pao na Zemlju u Egiptu 1911. godine godine. Iako je izgled ove strukture intrigantan, ona, najvjerovatnije nastala kao rezultat geološkog, a ne biološki procesi, kažu članovi tima.
Fotografija iz otvorenih izvora
“Razmatranje mogućih biotskih scenarija podrijetla struktura jaja u Nakhlu trenutno je nemoguća zbog nedostatak uvjerljivih dokaza “, pišu naučnici u novom istraživanje objavljeno ovog mjeseca u časopisu Astrobiology. „Dakle, na osnovu dostupnih podataka o kojima smo dobili prirodu ove ovoidne strukture u Nakhli, zaključujemo da je najrazumnije objašnjenje njenog nastanka to nastala je putem abiotskih procesa. ”
Fotografija iz otvorenih izvora
Struktura je dugačka oko 80 mikrona i širina 60 mikrona, istraživači kažu da je to mnogo više od većine osnova bakterija, ali u granicama normale za eukariotske mikroorganizme Zemlja (jednoćelijski organizmi koji posjeduju jezgru i organele). Istraživački tim je uvjeren da je to objekt porijeklom iz uzorka, a nije posljedica kopnenog zagađenja.
Naučnici su proučavali strukturu koristeći različite metode, uključujući uključujući elektronsku mikroskopiju, rentgensku analizu i masena spektrometrija. Ova studija je otkrila taj oval struktura se sastoji od gline bogate gvožđem i sadrži niz drugih minerali.
Fotografija iz otvorenih izvora
Marsovo vreme
